Cyclone Montha | Chennai, October 26, 2025: Tamil Nadu Chief Minister M.K. Stalin has given important updates and instructions as cyclone montha maintains its deepening over the Bay of Bengal, causing heavy rains and high wind warnings across a number of regions in the state. The Chief Minister inspected state preparedness in the early hours of Sunday morning, stopping at the Adyar River embankment to gauge drainage and flood protection arrangements.

CM Stalin’s Review and Instructions on cyclone montha in Tamil Nadu

After a thorough briefing by top officials of the Tamil Nadu Disaster Management Authority (TNDMA), Stalin instructed all district collectors, particularly coastal district collectors, to stay on alert. Emergency response forces, such as fire and rescue units, have been put on standby. The Chief Minister instructed them to give top priority to evacuations in low-lying and waterlogged areas if wind speeds or rain increases in the next 48 hours during Cyclone Montha.
Cyclone Montha weather, Cyclone’s Present Path and IMD Prediction
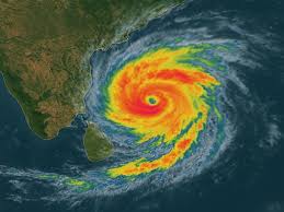
As per the India Meteorological Department (IMD), Cyclone Montha is presently located in the southeast Bay of Bengal and is headed west-northwest at approximately 7 km/h. It is expected to strengthen to a complete cyclonic storm by Monday, October 27, before heading towards the Andhra Pradesh and northern Tamil Nadu coasts.
Red and orange alerts have been sounded for Chennai, Tiruvallur, and Ranipet districts, predicting extremely heavy rain with gusty winds in the next few days.
Safety Measures and Public Advisory on Cyclone Montha
Chief Minister Stalin encouraged citizens, particularly in coastal belts, not to move close to the seashore and to adhere to official information through the state’s monsoon control centers. Fishermen have been ordered in no uncertain terms not to go to the sea because of the turbulent weather due to Cyclone Montha. Power and transport departments have been ordered to make emergency backup arrangements to provide uninterrupted services in the event of infrastructure failure.
Relief Teams on Standby
Over 4,000 relief workers have been deployed in Tamil Nadu, while Chennai Corporation has used special pumps and sandbags for hit areas. Medical and disaster relief camps have also been established in vulnerable areas to attend to emergencies quickly.
As things continue to unfold, CM Stalin assured citizens that the Tamil Nadu government is well equipped to deal with any issue arising from Cyclone Montha. The government will provide real-time updates through official means as the system develops and makes its way towards the coast.
The National Disaster Response Force (NDRF), State Disaster Response Forces (SDRF), and local disaster management teams were strategically positioned across coastal districts of Tamil Nadu, Andhra Pradesh, and Odisha.
General features of Cyclone Montha in 2025

- The cyclone formed in the southeast Bay of Bengal and was expected to intensify into a severe cyclonic storm before making landfall primarily on the Andhra Pradesh coast, with wind speeds reaching 90–100 kmph and gusts up to 110 kmph. Tamil Nadu, especially northern parts including Chennai, was forecasted to experience light to moderate rainfall, although heavy rain bands might brush some coastal areas if the cyclone curved closer to the shore.
- The India Meteorological Department (IMD) issued warnings for heavy rain, thunderstorms, and rough sea conditions along the Tamil Nadu coast, urging fishermen to avoid venturing into the sea from October 25 to 28, 2025.
- Chennai and nearby districts could face heavy to very heavy rain spells depending on the cyclone’s path, with precautionary steps taken to mitigate flood risks based on previous cyclone impacts.
- Overall, the cyclone brought gusty winds, high rainfall potential, and possible flooding consistent with typical cyclonic activity involving post-monsoon severe cyclonic storms in Tamil Nadu.
Cyclone Montha’s Impact in Tamil Nadu
- severe cyclone montha saw fresh rains, particularly in northern districts like Chennai, Tiruvallur, Kanchipuram, and Ranipet, which received an orange alert for heavy to very heavy rainfall accompanied by thunderstorms and strong winds.
- Cities like Chennai experienced moderate to heavy rain with localized intense downpours, water stagnation in some areas, and disruptions such as school holidays.
- The rainfall mainly resulted from the cyclone’s outer rain bands brushing past the Tamil Nadu coast, rather than a direct hit.
- severe cyclone caused wind speeds reaching up to 60 kmph in affected districts.
- Emergency measures, including evacuation and relief efforts, were taken, partly because of flooding risks.
This ongoing monitoring and forecast reflect cautious preparedness in Tamil Nadu for rainfall and wind disturbances due to severe cyclone montha in 2025, though the main landfall was near Andhra Pradesh.

Be First to Comment